資料よもやま話2
明治はじめのイギリス駐屯軍陣営紙
イギリス軍山手駐屯見取図
図版2はイギリス国立公文書館が所蔵する「日本、横浜 改修工事が進む陣営等の位置の見取図」と題された71年作成図(部分)である。
施設ごとに番号が振られて注記がある。なお右上の三叉路は、現在の港の見える丘公園前交差点にあたる。

当初、イギリスは山手115番に北陣営を、116番に南陣営を構えた。北陣営は現在の港の見える丘公園一帯、南陣営は岩崎博物館や横浜インターナショナルスクール、山手資料館、横浜山手聖公会などがある辺りである。その後、南陣営の閲兵場のある東半分を中陣営と呼び区別するようになった。
明治政府は70年から翌71年にかけて台風の被害を受けた陣営内施設の修理を行ったが、図はその時に作成したものだろう。日本の外務省にも関係史料と複数の陣営図がのこっている(外務省記録「横浜山ノ手ニ於テ英国兵隊屯留用ノ為メ貸渡地内ノ屯所修理一件」)。
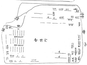
同じ頃に陣営を視察した加賀(金沢)藩士小川仙之助も報告書とともに陣営見取図[図版3](石川県立歴史博物館所蔵「小川家文書」、前掲『史料でたどる明治維新期の横浜英仏駐屯軍』から)をのこしている。南陣営を描いたこの図にも中央に「中陣所[陣営]」と記されている。
これら複数の図をつき合わせた結果、図版1の写真の場所と、そこに写っている各施設をおおよそつぎのように特定することができた。
場所は、現在の岩崎博物館や横浜インターナショナルスクールがある辺り、南陣営から分かれた中陣営である。手前右から
厩、
大砲置き場(砲車の車輪が見える)、すこし高台に
炊事場(数本の煙突のある小屋)、小道を挟んで
浴室小屋。厩の脇に馬車が1台、炊事場と浴室小屋の間に井戸が見える。後方右から
憲兵詰所と営倉(牢屋)の2棟、
酒保(売店)と娯楽室、左後方2棟は
一般独身兵の兵舎である。
写真には写っていないが、妻帯の士官・兵士用兵舎が現在の山手資料館や横浜山手聖公会辺りに別々に設けられた。写真手前方向になる。
小川仙之助は報告書に、営倉に入れられる場合の罪状として、当番時に陣営を抜け出て市中に出たり、大酒を飲んで門限を破ったりした者は、その罪状の軽重にしたがって営倉入りとなる、と詳しく書きとめている。非番の日の門限は9時半だった、ともある。
なお小川仙之助の図[図版3]では、後方の営倉以外の小屋は砲兵と工兵の兵舎と工兵倉庫とある。

陣営内にあったさまざまな施設
図版2の見取図には、この他に独身士官用兵舎、士官用食堂と専用庭、軍曹用食堂、歩哨小屋、倉庫、作業場、使用人部屋、便所などの場所が記されている。また弾薬庫が陣営のはずれ、現在の港の見える丘公園北側に設置されていた。
図版3にはさらに、駐屯軍家族の生活を想像させる施設が書き込まれている。「学校」や「洗ダクヤ」[洗濯所か]、「パン」[パン焼所]」、「仕立ヤ」(北陣営図にあり。図は割愛)といった文字が見える。およそ50名の将兵の妻と100名の子どもたちが山手に暮らしていたことを証明している。「書物蔵」もあった。当館所蔵の77年作成の陣営略図(写し)には、別の場所であるが「書籍置所」と記されている。図書室のことである。こういった施設で繰り広げられた日常生活をとらえた写真は、残念ながらまだ目にしたことがない。